作者fish529 (魚子)
看板dog
標題[心得] 美國愛屋髖關節報告書
時間Sat Feb 27 21:20:56 2010
好讀網誌板:
http://fishzi.pixnet.net/blog/post/4982724
---------------------------
上次到吉盈拍攝髖關節X光片是2月底的事
經過一個月的時間,今天美國愛屋終於寄出電子報告書了
當然這段時間,我們也很努力的保養AMO的關節
以下是報告書內容還有X光片
http://pic.pimg.tw/fishzi/4b88ed8fa9c81.jpg
AMO的外觀看起來非常好,一切都很正常
看不出是個有嚴重CHD問題的澳咖小孩
http://pic.pimg.tw/fishzi/4b8907f6ef9c4.jpg
全部選項都是中度和嚴重,只有右腳一個選項是輕微 (茶)
當中有幾個選項有打電話到愛屋問謝醫師
關節重塑形→指的是跟原本的關節長的不一樣了,AMO的關節長了一堆骨贅
Norgberg Angle→醫生忘了幫AMO填上去 ,AMO右腳 83 左腳 85,大於105才算正常
股骨頭包覆率→50%以上較好
Penn Hip Radiography→另外一種拍攝方法,成長期的小朋友需要,所以AMO不用XD
http://pic.pimg.tw/fishzi/4b8907e91facc.jpg
體重控制居然也沒寫
我打電話陳述給謝醫師AMO的體型,他說繼續保持就好
(AMO的體型保持在摸的到肋骨的狀態,屬於標準偏瘦)
運動的部分,AMO只能牽繩散步和游泳
我還不死心的問醫生說是否能在平地跑步...結果當然是不行
行為及環境限制,就是不能在滑的地板行走,不能做激烈運動
王醫師整體評估:AMO兩隻腳都有CHD問題,不過步行OK,沒有一拐一拐的,
我們建議先採用保守的照護方法。若結果無法令人滿意,
再評估要不要換人工關節。
所以就要看三個月後的複檢狀況
謝醫師說AMO因為關節都變形了,要完全改善只能做髖關節置換手術
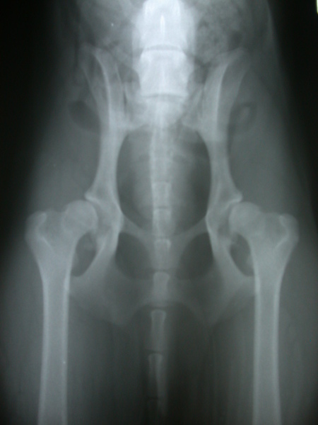
以下是AMO的X光片
兩種都各拍了三張
http://pic.pimg.tw/fishzi/4b8907fbebadb.jpg
http://pic.pimg.tw/fishzi/4b890800d0476.jpg
從AMO的例子來看
有很多狗狗外表看不出來,但其實髖關節問題已經很嚴重了
不管怎樣,都還是快點帶去看醫生吧
另外,拍CHD的X光片,一定要有符合OFA標準
不然就是白花錢,也得不到結果~
最後補充一點
不可以隨便補充鈣片,
以AMO的例子來說,補充鈣片會導致關節產生更多骨贅(類似骨刺)
所以吃營養品,還是要吃醫生認可並建議的
本篇感謝貢貢老背幫我翻譯文章
--
http://fishzi.pixnet.net/blog
--
※ 發信站: 批踢踢實業坊(ptt.cc)
◆ From: 58.114.96.45
推 bon11242000:推一個!221.169.147.157 02/27 21:28
※ 編輯: fish529 來自: 58.114.96.45 (02/27 21:42)
推 wangshuyu:推~ 140.112.193.63 02/27 23:53