


→ TKB5566 : 有機會挑戰梅姬的65/80嗎 04/13 13:09


推 ltytw : 這顆會往哪個陸地撞下去啊 04/13 13:23
推 jimmy415 : 現在可能減弱到145-150左右,早上眼溫緩慢下降,cmg 04/13 13:27
→ jimmy415 : 環比較不穩定,應該是受到雨帶或者外眼雛形的影響 04/13 13:27
推 dunking : 期待塞班島的實測 04/13 13:37
→ dunking : 話說西南角的缺陷不曉得是什麼原因? 04/13 14:20
推 exempt : ERC已經開始了 04/13 15:13
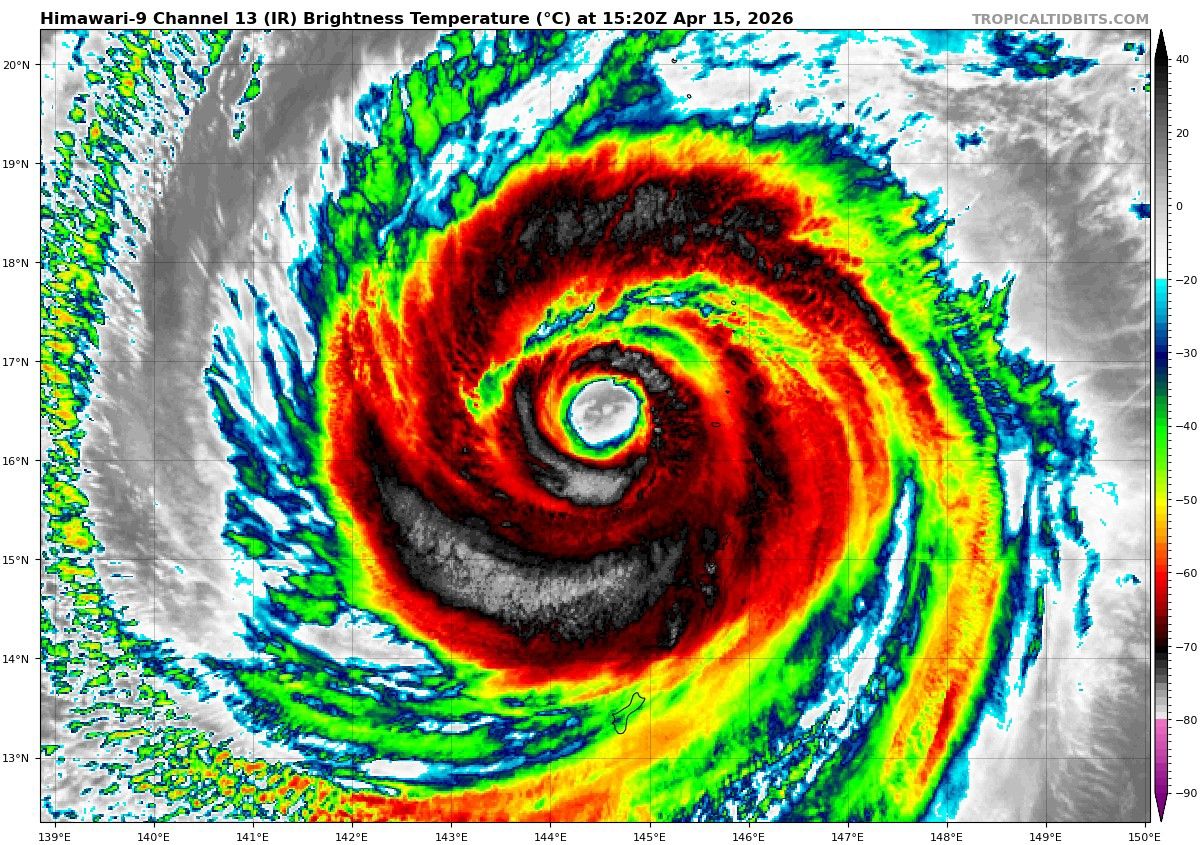
→ heaventrain : 關島雷達看得到 雙眼牆 04/13 15:37
推 exempt : JTWC 150KTS 04/13 15:46
推 exempt : FNV3 不支持颱風會再增強 04/13 16:05


推 DanasYuri : 辛樂克巔峰型態超越4月風王舒力基、梅莎、安迪 04/13 16:38
推 aa1477888 : 可以榮登最強四月颱了吧? 04/13 16:43
推 aegis43210 : 的確是四月颱底層最好的 04/13 17:12
→ dunking : 希望老J BST至少能給跟舒力基相同的評價…舒力基有 04/13 17:16
→ dunking : 點吹太大 04/13 17:16
推 jimmy415 : 風吧普遍認為舒力基155-160,辛樂克160-165 04/13 17:23

→ jimmy415 : 稍早的底層顯示外眼有退化成不連續雨帶的趨勢 04/13 17:26

推 thingslove : 內眼太強悍,結果外眼先崩? 04/13 17:27
→ jimmy415 : 對應到目前對流環的明顯恢復 04/13 17:27
→ jimmy415 : (差不多 04/13 17:28
→ jimmy415 : 風吧也提到有一部分是春季的低sst限制了外眼發展 04/13 17:29
推 heaventrain : 也有可能是周遭的乾空氣 04/13 19:22
推 xxxff0645 : 明天準備核爆塞班島了 上次是玉兔 04/13 19:24
→ TKB5566 : 颱風威力上不去了 還以為關島附近適合發展 04/13 23:38
推 dunking : 看起來試圖要ERC 會減弱正常 04/14 00:46
推 willyer : T值上不去了嗎? 04/14 01:08
推 ben108472 : 其實外眼在發展時本來就會時強時弱,現在已經是雙 04/14 05:07
→ ben108472 : 眼牆了 04/14 05:07
→ ben108472 : 春季的低海溫限制發展昨天就不會T7.5了 04/14 05:07
→ ben108472 : 外眼牆某方面就是重新建立一個眼牆 04/14 05:08
推 saimeitetsu : 巔峰應該就這樣了 04/14 07:42
推 uodam64402 : 我覺得海溫不是問題,副高沉降與乾空氣才是問題。 04/14 09:49
→ uodam64402 : 春季往常問題是東風風切,但在聖嬰發展年風切問題小 04/14 09:50
→ uodam64402 : ,反而因為冬季陸地帶來的乾空氣降低水氣飽和,愈接 04/14 09:53
→ uodam64402 : 近東亞乾空氣就愈明顯。 04/14 09:54
推 jasonccr : 而且海溫如果不夠 那不可能支撐更強的內眼牆 04/14 09:54
推 uodam64402 : 海溫應該是制約水氣飽和補充的重要因素,外眼要能快 04/14 09:59
→ uodam64402 : 速增強並加快取代內眼,就需要更強大的水氣支持。 04/14 10:00

→ jimmy415 : 從風吧轉的 04/14 11:45
推 jimmy415 : 這次置換難得有全程雷達觀測底層+雷達測風,算是對1 04/14 11:47
→ jimmy415 : 55kt以上的熱帶氣旋置換一個不錯的研究素材 04/14 11:47
推 exempt : 4天前的GFS系集 04/14 15:34

推 exempt : 加油好嗎? 04/14 15:41
推 dunking : 塞班島要進眼牆了嗎 04/14 17:33
推 exempt : 風眼中心的寧靜 04/14 18:01

推 cycling : METAR PGSN 141154Z AUTO 06071G113KT 04/14 21:54
→ cycling : 第一次看到METAR 100+ 04/14 21:55

→ exempt : 小島進洞 04/14 21:59
推 Bustycat : 塞班國際機場疑似測到920hPa 04/14 22:05
推 cycling : 塞班氣壓計壞掉之前最低metar是A2776 04/14 22:12
推 Bustycat : 嗯這應該是塞班別的資料但現在確實在內眼了 04/14 22:15
推 cycling : 塞班機場三小時前氣壓計就故障了 自動站現在metar 04/14 22:16
→ cycling : 還有繼續發報 04/14 22:16

→ DanasYuri : 塞班機場 940.0 之後就壞了 04/14 22:28
推 luckymore : 居然可以進洞 04/14 22:31
推 cycling : 破北馬里亞納一堆紀錄應該是註定除名了 04/14 22:38
→ cycling : 脆好像還有少許當地回報 其他很多軟體都好幾個小時 04/14 22:39
→ cycling : 沒更新了 04/14 22:39

推 DanasYuri : 辛樂克的特色是CDO+CDG同時 同心圓的 海燕 妮妲以來 04/14 22:44
推 exempt : 有機會變成大眼甜甜圈! 04/14 23:31
推 deathtrap : 一顆爽爽的颱風 04/15 11:15
推 dunking : 1997年超級聖嬰年誕生出10個貓五超颱…今年不曉得 04/15 14:03
→ dunking : 能否多產 04/15 14:03
推 dunking : 4月下旬可能有波比較強的東北風南下 04/15 15:21
推 app291844757: 4月目前很暖,平地站幾乎都正距平超過1度。 04/15 17:49
推 book8685 : 開始下雨了 04/15 18:49
推 typhoon79412: 所以四月下旬暖暖包、發熱衣褲又要出動了嗎 04/15 20:02
→ TKB5566 : 四月下旬 冷空氣也強弩之末了 頂多冷個一兩天吧 04/15 20:05
推 leejones : 暖暖包?最低溫還有21度,這樣還會冷? 04/15 20:06
推 leejones : 我說的是過幾天。 04/15 20:07
推 k26975582 : 我現在想知道中央氣象署app的 04/15 20:08
→ k26975582 : 雷達回波是壞掉了嗎? 04/15 20:08
→ k26975582 : 怎麼上面顯示的顏色區塊有些異常 04/15 20:09

→ mccloud : 左上這片 快下來了 04/15 20:44
推 bigshawn : 上面那坨會壓下來嗎? 04/15 21:24
推 uodam64402 : 颱風正在康芮化(超大眼牆)… 04/15 23:09
推 steward135 : 發布大雷雨即時訊息了 04/15 23:51

推 heaventrain : 辛 水氣很乾 04/16 00:09

→ HWtseng : 雨勢蠻大蠻明顯的 04/16 00:20
推 a835282000 : 台北炸裂 04/16 00:37
推 Vincient : 台北響起今年春天第一道雷雨 04/16 00:38
推 TrueX67 : 沒對外窗還能聽到雨聲 04/16 00:42

推 Championlins: 辛樂克東南方這片擾動雲系是不是之後會發展起來? 04/16 07:51
→ Championlins: ! 04/16 07:51
→ dildoe : 接下來要直接吃乾涼了吧 04/16 08:18
推 k26975582 : 想不到現在颱風都還走不到北緯20 04/16 13:58
→ k26975582 : 度就開始減弱,海洋大氣環境也 04/16 13:59
→ k26975582 : 太差了不利颱風發展或維持強度 04/16 13:59
推 Championlins: 以往都這樣吧!目前才四月份,太東邊的洋面海溫比 04/16 15:00
→ Championlins: 較低,到了夏季就比較高了!環境風切也會影響颱風 04/16 15:00
→ Championlins: 的發展! 04/16 15:01
→ k26975582 : 了解 謝謝 04/16 17:54
推 heaventrain : 這幾天流出一直很好 就是春季低海溫跟乾空氣影響 04/16 17:58
→ a27281591 : 有一好沒兩好 04/16 18:40
推 ben108472 : 這幾天風切都不大,就是海溫不高,結構很差 04/16 20:30
推 aegis43210 : 沒吃什麼好料又一直腹瀉的辛樂克 04/16 22:15
推 uodam64402 : 基本上4月的西風帶南端大概就20N左右,海溫不比12月 04/16 23:28
→ uodam64402 : ,因此表層海溫雖有但OHC不足,受冬季冷空氣增溫變 04/16 23:29
→ uodam64402 : 乾,使得水氣不足是最大的問題。 04/16 23:29
→ uodam64402 : 我還記得2015年梅莎颱風就是被乾空氣摧殘到菲律賓 04/16 23:32
→ uodam64402 : ,一登陸就解體了。 04/16 23:32
推 uodam64402 : 目前來看大概要到5月以後才會有相關的颱風生成信號 04/16 23:49

推 exempt : 等待5月中下旬阿拉伯海和孟加拉灣出現擾動 04/16 23:56
推 aegis43210 : 挖一個冷水坑,但才四月沒什麼差 04/17 07:59
推 uodam64402 : 就不要是南海,這時南部又要PTSD了。 04/17 11:42
推 snocia : 5月進南海影響台灣很大的颱風只記得珍珠,因為滯留 04/17 11:47
→ snocia : 導致東半部豪雨不斷 04/17 11:47
推 dunking : 5月後有颱風訊號…本年度月月颱可持續跟進了 04/17 12:47
推 aegis43210 : 目前全球海溫已突破四月歷史新高,預期今年會是能和 04/17 13:51
→ aegis43210 : 2015相提並論的一年 04/17 13:51
推 aegis43210 : 23~25,涼空氣南下,乍暖還寒的天氣 04/17 13:54
推 dunking : 今年春季的冷空氣因弱極渦和低海冰的因素而偏弱… 04/17 14:32
→ dunking : 往年4月上中旬至少有台北16度的冷空氣 冷氣團也不 04/17 14:32
→ dunking : 少見…今年4月熱的很快 04/17 14:32
→ dunking : 4/23-4/25的涼空氣估計是辛樂克北上引發西風帶震盪 04/17 14:34
→ dunking : 帶動涼空氣南下…但這股涼空氣和以往4月比也算是相 04/17 14:34
→ dunking : 較弱的了 04/17 14:34
推 lyl817 : 2015的高海溫跟2016年的霸王寒流會有關係嗎? 04/17 16:11
推 hunghat : 不知道5月初勞動連假天氣為何? 04/17 21:56
推 a89103050 : 預報連假天氣不太好 04/18 07:07
推 jasonccr : 這個季節連4-5天的預報都常常翻盤了,勞動節…博杯 04/18 07:20
→ jasonccr : 比較快 04/18 07:20
推 bear7977 : 預報連前一天的都會失準了 04/18 11:17
推 a835282000 : 這兩天預報降雨,結果是雲多而已,甚至偶爾還有陽 04/18 12:04
→ a835282000 : 光 04/18 12:04
推 cakeGJ : 昨天看CWA點進去鄉鎮市的逐小時預報今天30%雷雨符號 04/18 12:06
→ cakeGJ : 今天早上看就變20%陰天的符號 04/18 12:06
→ cakeGJ : 昨天、今天的定量降水預報也有落差 04/18 12:07
推 snocia : 台東60%→20% 04/18 12:10
推 singlesingle: 本來以為今天淡江大橋路跑會下大雨 看來是不會下了 04/18 12:17
推 dunking : 這週末的預報算是蠻失靈的…原先預定的鋒面雷雨最 04/19 11:23
→ dunking : 後只剩東部零零星星 04/19 11:23
推 lyl817 : 真是雷聲大雨點小 04/19 12:42
推 snocia : 本來預報的雨量就不算很多,不過幾乎全面消失... 04/19 12:48
推 WuCH1022 : 台北昨天的降雨是午後陣雨來勉強救場面 04/19 12:54
→ kusotoripeko: 本來期待下點雨,現在南部旱季不靠灌溉的話,果園 04/19 13:03
→ kusotoripeko: 初期苗木死亡率很高,20年前很多都種了等下雨而以 04/19 13:04
推 aegis43210 : 23~25偏涼,27回暖,28日再轉涼 04/19 14:17

→ newsnew : 是涼空氣比預期晚下來 水氣走又太早嗎 04/19 16:13
推 singlesingle: 今天台北下午難得出現藍天萬里無雲 04/19 16:47
推 fp737 : 接下來沒那麼熱 這4月均溫應該很難追上2024 04/19 18:27
推 thingslove : 辛樂克的ACE超過40,也算是對今年西太的業績貢獻良 04/19 23:23
→ thingslove : 多了 04/19 23:23
推 exempt : 夏天和秋天如果遇到反聖嬰,當年度的西北太平洋年 04/20 00:44
→ exempt : 度ACE會偏低...今年下半年不會有反聖嬰,所以今年 04/20 00:45
→ exempt : 西太的ACE應該不會落賽 04/20 00:45
推 dunking : 5月初估計低空鋒前有短暫的暖濕西南風吹起來 04/20 16:34
推 Bustycat : 昨晚那報被改成SS,ACE降到39.9725 04/20 20:18
推 exempt : 舒力基的ACE 是42.8 04/20 20:23